
Jak co roku w okresie Wszystkich Świętych ulega zmianie organizacja ruchu w mieście Bochnia. W tym roku zmiany zostaną wprowadzone od godzin wieczornych 31 października do wczesnych godzin porannych 3 listopada 2025 r.
Parking przed sklepem PSS ”Społem” „S-ka” ul. Karosek będzie 1 listopada udostępniony dla odwiedzających cmentarz.
Wprowadzone zostaną następujące zmiany:
- ul. Oracka – będzie obowiązywał jeden kierunek ruchu (od ul. Polnej w kierunku ul. Regis)

- ul. Polna – będzie obowiązywał jeden kierunek ruchu (od ul. Józefa Romana w kierunku ul. Orackiej)

- ul. Józefa Romana – będzie obowiązywał jeden kierunek ruchu (od ul. Orackiej w kierunku ul. Polnej)


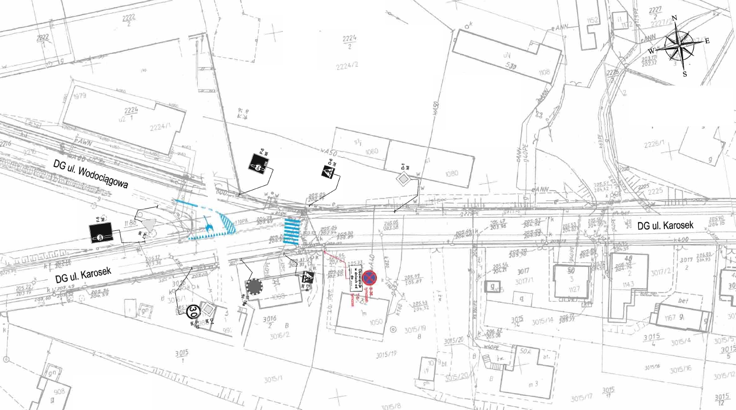
- ul. Karosek – będzie obowiązywał „zakaz zatrzymywania się i postoju” na odcinku od ul. Krętej do ul. Wodociągowej

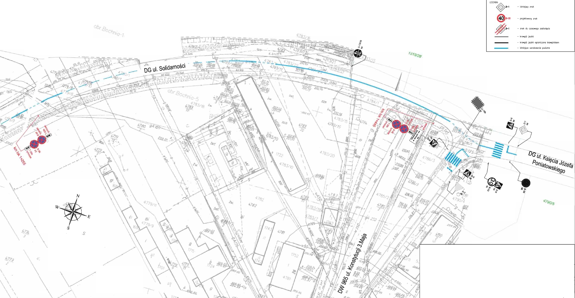
- na ul. Solidarności, Ofiar Katynia oraz rtm. Witolda Pileckiego będzie obowiązywał „zakaz zatrzymywania się i postoju” od strony cmentarza

- na ul. Krzęczków będzie obowiązywał ruch jednostronny (od ul. Łychów do ul. Ogrodowej)














